基于再结晶与析出相共生现象调控微观组织是研发高性能合金材料的重要手段,在现代材料工业中具有广泛应用。调控再结晶晶粒尺寸和析出相分布可实现镁合金、铝合金和镍基高温合金等结构材料的强塑匹配,也可克服Sm-Co永磁材料“磁能积与矫顽力相互倒置”的基础难题。由于再结晶晶粒和析出相长大相互影响,且涉及复杂的缺陷演化过程,揭示缺陷的形成及分解对调控微观组织和材料性能至关重要。
近日,西安交通大学bwin马天宇教授和任晓兵教授课题组与西南应用磁学研究所王敬东研究员、北京工业大学岳明教授和西北工业大学刘峰教授合作,以高温磁性最强的2:17型Sm-Co-Fe-Cu-Zr永磁合金为研究对象,采用高分辨透射电镜从原子尺度揭示了其再结晶和析出共生过程中的缺陷演化机制。
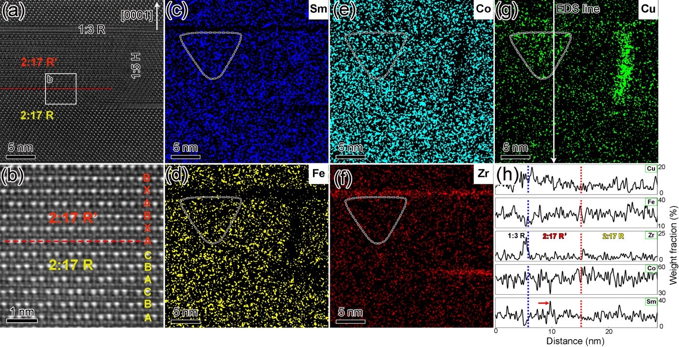
尽管2:17型Sm-Co-Fe-Cu-Zr永磁材料已发现40多年且至今在航空航天、电子信息和轨道交通等高温应用领域仍不可或缺,但是其形成纳米胞状组织的物理机制仍存争议。一种观点认为六方结构的微米晶再结晶形成贫Sm的菱方结构2:17R纳米胞状相和富Sm的六方1:5H胞壁析出相为纯扩散型相变;另一种观点则认为六方结构的2:17H相可通过位移型相变转变为2:17R平衡相。由于扩散型相变和位移型相变过程中的缺陷演变机制截然不同,揭示再结晶和析出共生过程中的缺陷形成和分解成为理解这种永磁材料形成纳米胞状组织的关键。通过表征不同相变阶段的微结构,上述研究人员发现该体系再结晶、再结晶晶粒和析出相的长大均包含空位、间隙原子和基面层错(也可分解为位错)的逐渐形成与分解。受扩散控制的<a>型位错在基面上的迁移不仅使双层堆垛周期的2:17H相转变为三层堆垛周期的2:17R相,也可形成连续的原子扩散通道使1:5H相沿锥面的胞壁析出(图1)。
他们进一步结合球差电镜和元素分析,观察到由于位错不完全迁移和元素不充分扩散所形成的2:17R’中间相(图2)。根据实验结果,他们提出了基面滑移原子模型(图1c)来解释该体系的缺陷形成及分解过程。该工作表明2:17型Sm-Co-Fe-Cu-Zr合金形成纳米胞状组织为扩散-位移型混合相变机制,不仅澄清了该材料的长期争议,也将为调控再结晶与析出共生合金体系的微观组织提供重要理论参考。
该工作以“Atomic scale understanding of the defects process in concurrent recrystallization and precipitation of Sm-Co-Fe-Cu-Zr alloys”为题发表在金属材料领域学术期刊Acta Materialia上。西安交通大学bwin博士生宋欣为论文第一作者,马天宇教授为通讯作者,西安交大为第一单位。该工作得到了国家自然科学基金、中央高校基本科研业务费、陕西省人才计划与科技创新团队、西安交通大学青年拔尖人才支持计划、西安交通大学金属材料强度国家重点实验室和西北工业大学凝固技术国家重点实验室等共同资助。微结构表征得到了西安交通大学分析测试共享中心和西北工业大学分析测试中心的支持。
论文链接:
https://doi.org/10.1016/j.actamat.2020.10.067

图1固溶处理态和时效后的微结构及基面滑移模型

图2 不完全基面滑移和不充分扩散形成的2:17R’中间相原子结构和元素分布